• 綠島海龜數量穩定,專家呼籲遊客,從事水域活動時,若幸運遇到海龜,切勿碰觸或干擾,在旁靜靜觀賞即可。(趙仁方提供)
  • 綠島海龜數量穩定,專家呼籲遊客,從事水域活動時,若幸運遇到海龜,切勿碰觸或干擾,在旁靜靜觀賞即可。(趙仁方提供)

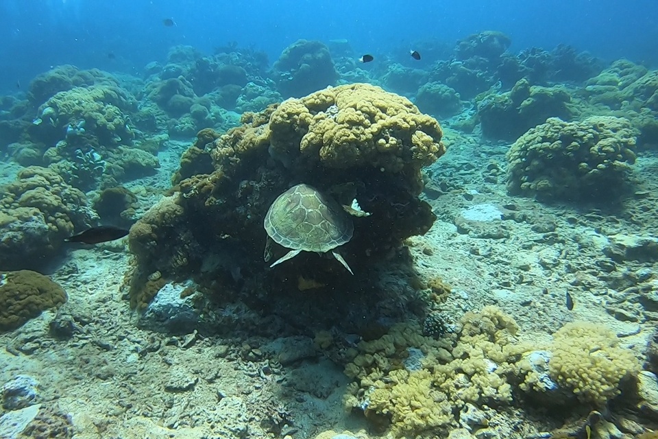
綠島海龜數量穩定 潛客巧遇切勿觸碰干擾

0
12
發佈:林睿鵬來源:臺東上架時間:2025/04/22 17:02:10

東北季風減弱,綠島旅遊旺季即將開始,近年到綠島從事水上活動的遊客經常與海龜不期而遇,專家表示,經2年調查,綠島附近海域珊瑚礁生態保護的很好,海龜族群穩定,但也呼籲遊客,從事水域活動時,若幸運遇到海龜,切勿碰觸或干擾,在旁靜靜觀賞即可。

 

海保署與臺東縣自然與人文學會合作,花了2年時間在綠島研究調查,發現紀錄的綠島海域大約有5種海龜,數量穩定在82隻左右,其中玳瑁與綠蠵龜最多。

 

負責調查的生態專家趙仁方表示,綠島附近海域珊瑚礁生態保護的很好,魚群藻類都很豐富,非常適合海龜覓食與生存,海龜在海中的模樣與動作十分優雅可愛,遊客在從事水域活動的時候,如果幸運遇到海龜,千萬不可觸碰或干擾以免觸法。

 

趙仁方表示,由於臨海觀光日漸興盛,加上夏季又是海龜繁殖期,海邊的光害恐會影響海龜繁衍,綠島因地形因素無海龜產卵紀錄,但遊客仍需注意勿接觸、騷擾,讓海龜能繼續安心在綠島生活。

按下收藏,就會將頻道收錄進您的
會員功能 > 收藏頻道
再也不會忘記找不到喔!
我瞭解了